Aktuálně můžete v lokalitě Zlín vybírat z nabídky 28 pozemků.
Přehled nemovitostí: prodej pozemky > stavební pozemky Zpět na přehled nabídek

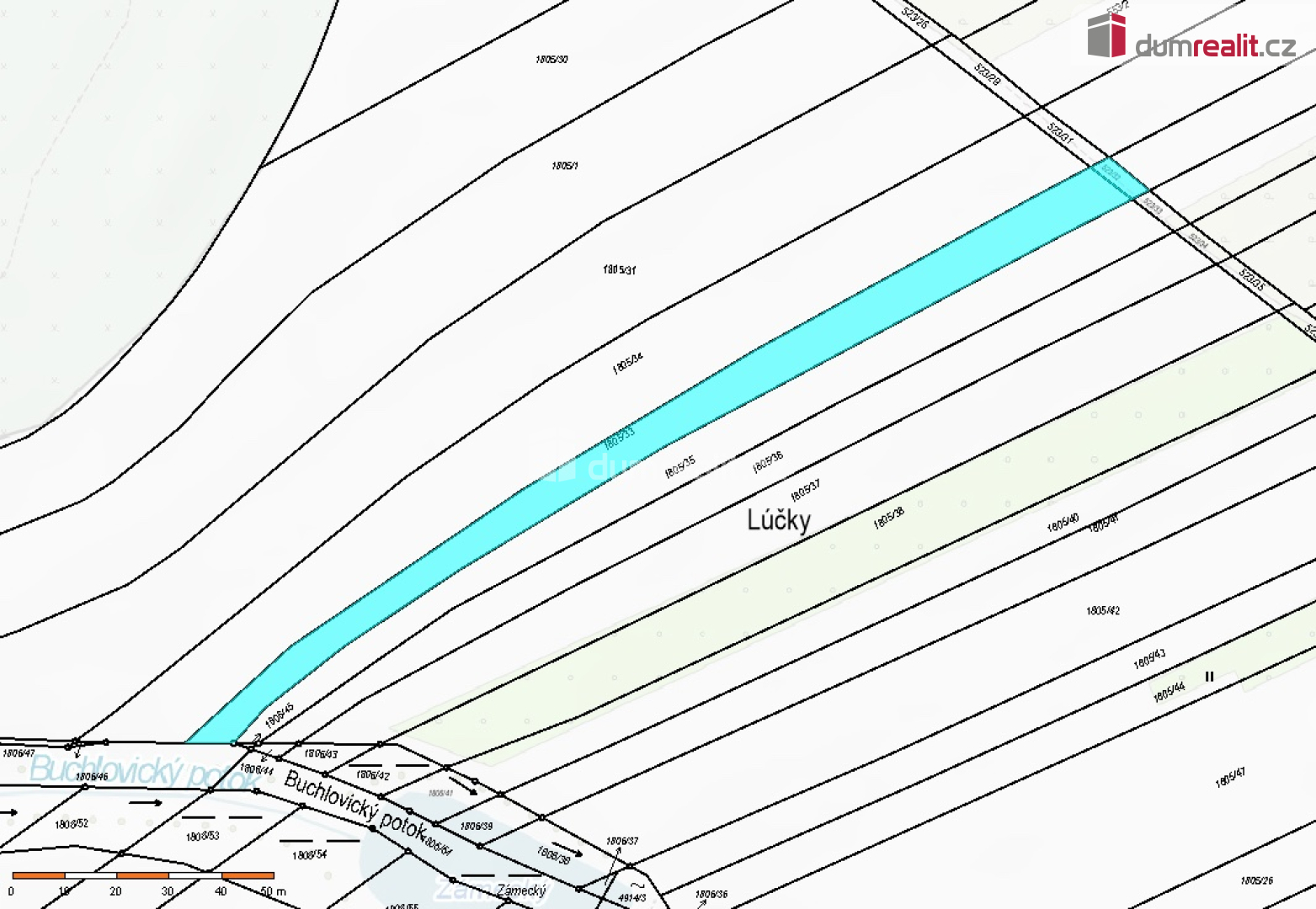
Prodej, Pozemek pro stavbu RD, bytů, Buchlovice

1 515 m2

osobní

652770

Cena: 1100 CZK / m2
Poznámka k ceně: včetně provize a právního servisu 1

Poslat dotaz k nabídce
Zásady používání osobních údajů

Prodejce

Makléř: Petr Psotka

Telefon: 602 109 ...

E-mail: psotka@ ...

Zobrazit celý kontakt

Nemovitost nabízí

Dumrealit.cz

Svornosti 8, 150 00 Praha 5

www.dumrealit.cz

Zobrazit kontakt na RK

Zobrazit všechny nabídky RK

Pozemek k prodeji v obci Buchlovice. Rádi Vám nabízíme ke koupi pozemek v klidné části obce Buchlovice. Pozemek má celkovou výměru 1515 m2 (s uliční šíří cca 9,5 m) a je v platném Územním plánu obce vedený pro individuální bydlení. Obec tuto lokalitu určila pro budoucí výstavbu rodinných domů. V současné době nemá pozemek přípojku IS ani přístupovou komunikaci. V budoucím plánu je i odprodej části pozemku obci, která vybuduje zmíněnou komunikaci včetně přípojek IS. Z toho plyne, že v současné době nelze pozemek zastavět a je třeba vyčkat na další kooperaci s obcí (toto je zohledněno v prodejní ceně). Pozemek se nachází v klidné lokalitě mezi fotbalovým hřištěm a zámeckou zahradou. Buchlovice je městys s plnou občanskou vybaveností a dobrou dopravní dostupností. Pokud budete mít zájem o více informací, popř. prohlídku pozemku, ozvěte se realitnímu makléři. Ev. číslo: 652770.



Nahoru