Makléř: Ing. Harazim Jiří
Telefon: 296 399 ...
E-mail: info@mm ...
Zobrazit celý kontaktTelefon: 296 399 006
E-mail: info@mmreality.cz
Nemovitost nabízí
M&M reality holding a.s.
Krakovská 1675/2, 110 00 Praha 1
Zobrazit kontakt na RK800 100 446
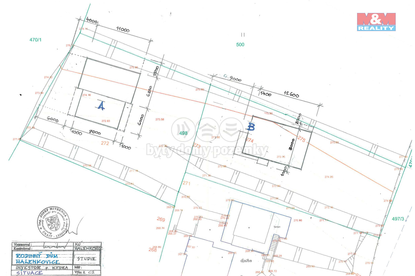
Nabízíme Vám pozemek určený k výstavbě rodinného domu, o výměře 753 m2, v klidné části obce Halenkovice. Jedná se o rovinatý pozemek, kdy inženýrské sítě se nachází v jeho blízkosti. K pozemku je vypracována studie domu, který by se zde mohl vybudovat a dále i příjezdové cesty, která je v rámci obchodu nabízena ve spoluvlastnickém podílu. V obci Halenkovice se nachází veškerá občanská vybavenost. Pro více informací a sjednání schůzky neváhejte kontaktovat makléře.
Prodej stavebního pozemku 917 m2, Halenkovice, krásný pozemek, centrum obce
Dovoluji si Vám nabídnout pozemek určený k výstavbě rodinného domu, který se nachází v centru obci Halenkovice. Tato obec se vyznačuje výbornou…
Prodej pozemku k bydlení, 1400 m2, Halenkovice
Máme pro Vás pozemek určený k výstavbě. Celková velikost nabízeného pozemku je 8949 m2 a z něj budeme rozdělovat menší pozemky. Jejich velikosti…